Cramond Village Street Sketch
Dublin Core
Title
Cramond Village Street Sketch
Subject
Intangible Heritage
Description
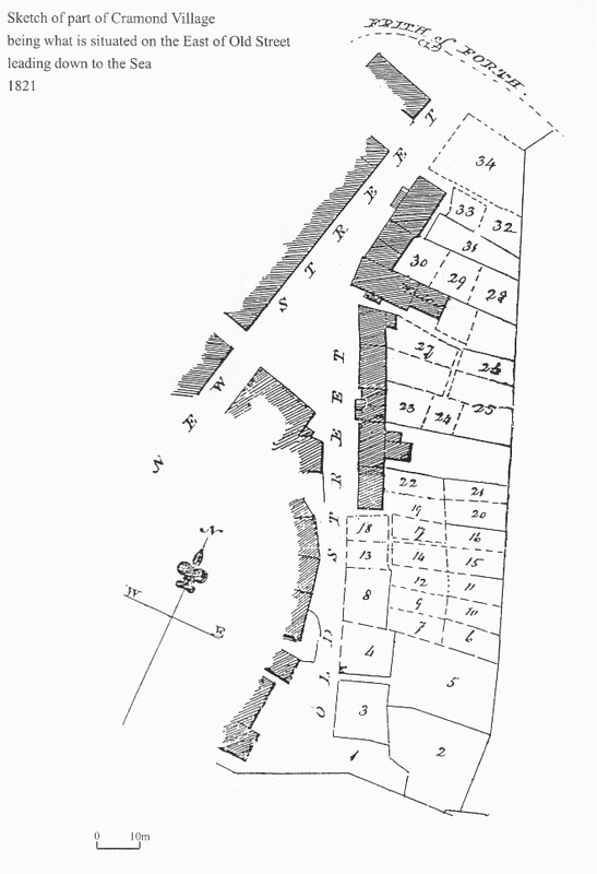
Sketch of part of Cramond, being what is situated on the East of Old Street leading down to the Sea. 1821.
Source
is51102025
Date
1821
Contributor
sarah
Type
Still Image
Date Submitted
07/28/2025 02:46:36 pm
License
In Copyright (InC)
Medium
The Cramond Association
Spatial Coverage
current,55.97351003331854,-3.300876617431641;
Europeana
Europeana Type
IMAGE
Still Image Item Type Metadata
DescriptionEN
Sketch of part of Cramond, being what is situated on the East of Old Street leading down to the Sea. 1821.
Citation
“Cramond Village Street Sketch,” STAGE, accessed December 13, 2025, https://stage.openvirtualworlds.org/omeka/items/show/4087.
Embed
Copy the code below into your web page
